For more information regarding the value of a property, please contact us for a free consultation.
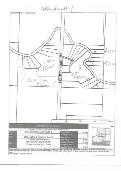
10 AC Hwy 393 Crestview, FL 32539
Want to know what your home might be worth? Contact us for a FREE valuation!

Our team is ready to help you sell your home for the highest possible price ASAP
Key Details
Sold Price $50,000
Property Type Vacant Land
Sub Type Agricultural
Listing Status Sold
Purchase Type For Sale
Subdivision Metes & Bounds
MLS Listing ID 813009
Sold Date 06/25/20
HOA Y/N No
Lot Size 10.000 Acres
Acres 10.0
Property Sub-Type Agricultural
Property Description
Beautiful Flowing River Front! White sandy beaches and bottom on the Shoal River with Highway 393 paved frontage !This is a recreational parcel for a RV, Site, Hunting Fishing and Bon Fires! Bring the Rope Swing and the Hammock for Sunday afternoon Relax time! Property has power poles at the road but is in the floodway so no building permits or septic tanks allowed. Fun in the sun time! Kayak, canoe or John boat time! The next door (South 12.55 acres is also available.)
Location
State FL
County Okaloosa
Area 25 - Crestview Area
Zoning Agriculture,County,Unrestricted
Exterior
Utilities Available Electric
Waterfront Description River
View River
Building
Lot Description Addl Land Available, Interior, RV Lot, See Remarks, Wooded
Schools
Elementary Schools Walker
Others
Financing Conventional
Read Less

Bought with RE/MAX Agency One
GET MORE INFORMATION




